
Bão Ragasa được dự báo là cơn bão mạnh nhất 2025
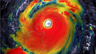
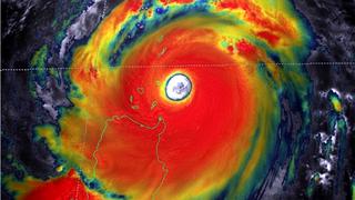
(ANTV) - Bão Ragasa được dự báo là cơn bão mạnh nhất năm 2025, thậm chí có thể vượt bão Yagi năm 2024 và trở thành cơn bão mạnh nhất trong 30 năm qua trên Biển Đông.
(ANTV) - Bão Ragasa được dự báo là cơn bão mạnh nhất năm 2025, thậm chí có thể vượt bão Yagi năm 2024 và trở thành cơn bão mạnh nhất trong 30 năm qua trên Biển Đông.
(ANTV) - Theo Trung tâm Dự báo khí tượng thủy văn quốc gia, lúc 11h trưa nay, bão số 3 đang ở trên đất liền các tỉnh Hưng Yên - Ninh Bình. Sức gió mạnh nhất vùng gần tâm bão mạnh cấp 8 (62-74km/giờ), giật cấp 10.
(ANTV) - Theo dự báo của cơ quan khí tượng thủy văn nước ta, thiên tai năm nay không đến mức quá khốc liệt, nhưng diễn biến thời tiết bất thường rất dễ xảy ra. Ngay đầu mùa mưa, chúng ta đã chứng kiến trận mưa 200mm trong vòng gần 3 giờ đồng hồ tại TP HCM và mới nhất là tại các tỉnh Tuyên Quang, Bắc Kạn.
(ANTV) - Mưa lớn, kèm dông, lốc, sét kéo dài tại tỉnh Hòa Bình đã làm 2 người tử vong và gây nhiều thiệt hại về tài sản và hạ tầng trên địa bàn các huyện Mai Châu, Tân Lạc, Kim Bôi và Lạc Sơn.
(ANTV) - Nước lũ lên nhanh dâng cao cuốn trôi gần 390 tấn cá ở các bè cá của hai huyện Tân Phú và Định Quán, tỉnh Đồng Nai. Vụ việc khiến những người nuôi cá tại địa phương thiệt hại hàng trăm triệu đồng.
(ANTV) - Trung tâm Dự báo Khí tượng thủy văn quốc gia đã phát đi bản tin dự báo hiện tượng El Nino với những tác động không nhỏ đến thời tiết mùa hè và mùa đông năm nay của nước ta. Dự báo, có thể gây ra nhiều kỷ lục về nhiệt độ cao nhất và mưa bão dị thường. Để rõ hơn về vấn đề này, phóng viên ANTV có cuộc trao đổi với PGS.TS Phạm Thị Thanh Ngà - Phó Viện trưởng Viện Khoa học Khí tượng Thủy văn và Biến đổi khí hậu.
(ANTV) - Bản tin gió mùa Đông Bắc 24/4 dự báo đêm nay, không khí lạnh sẽ ảnh hưởng đến một số nơi ở vùng núi Bắc Bộ; từ 25/4 Đông Bắc Bộ và Bắc Trung Bộ chuyển mát.